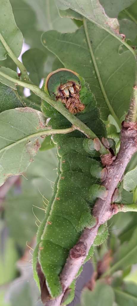
Im Juni war die 3r bei der Familie ihres Mitschülers Adrian Cassan eingeladen. Thomas Cassan (Adrians Papa) hat den Kindern seine Schmetterlingszucht gezeigt. Die Entwicklung eines Schmetterlings vom Ei, zur Raupe und dann zur Puppe wurde anhand von Fotos und lebenden Raupen eindrücklich erklärt.
Beim Basteln von Origami Schmetterlingen hatten die Kinder großen Spaß.
Opa Otto hat dann noch seine Sammlung von außergewöhnlichen Kristallen gezeigt. Er erklärte den Kindern die Entstehung der Kristalle und hat ihnen so kleine Einblicke in die Erdgeschichte gegeben. Zum Abschluss gab es noch eine leckere Jause und kleine Geschenke in Form von Kristallen zur Erinnerung an diesen tollen Vormittag.
Vielen Dank für die tolle Einladung!



























